Archive Record
Images
Additional Images [2]
Metadata
Catalog Number |
A2020.000.278 |
Object Name |
Map |
Tagline |
Rossland fire insurance map - 1897. |
Collection |
MS 84 - Map & Plan Collection |
Scope & Content |
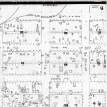
Photocopy of the 1897 Rossland fire insurance map. There are nine sheets to cover the town. Some of the highlights include placements of the following businesses Columbia Brewery, Butte Hotel, Western Hotel, Ottawa Hotel, Central Hotel, British Columbia Milling Co, Logan’s Planning Mill, St. Charles Hotel, Le Roi Brewing Co, Allan Hotel, Grand Hotel, Hotel Windsor, and John Murphy’s Brewery. The placement of the railways is noted as are the streets, alleys (ie: Sourdough or Hogan’s), and housing blocks (ie: Lincoln Terrace). Any existing buildings (even those under construction) are noted on each of the pages. While some of the buildings have their name listed, others merely have what they were used for (ie: hospital, church, livery). Street widths are also noted. 2020.000.278a has the mining claims surrounding town also listed. These include: Josie, Le Roi, Centre Star, Black Bear, Nick of Time, Legal Tender, Nickel Plate, Golden Chariot, Great Western, Copper World, Golden Dawn, Bruce, and Emerald. According to the first page of the map set Rossland had a population of 7000 in 1897. -2020.000.278a: There is a map of the town of Rossland in the centre with 139 blocks shown. The portions showed entails Princess Street through Fourth Avenue and Nevada Street through Georgia. Several sections of the blocks are shaded in and it is hard to read the block numbers (on the original they would have been coloured according to the building material). The surrounding mining claims are shown (see main description for list) as well as the placement of the Columbia & Red Mountain, Columbia & Western and narrow gauge railways. There is a legend on the upper left and index of the streets, points of interest, and blocks on the bottom of the page. There is a large "1" on the upper right. - 2020.000.278b: There are three small maps on the page. The top shows the upper portion of Washington street (blocks 94-97) and has number buildings. The only one with names are the pump house and raised water tank. At the top of this map there are notes stating that there is wooden cabins and shanties beyond where the map cuts off. The middle map shows the block between St. Paul and Monte Christo Streets and above Fourth Ave (block 98). This block contains Griffins Alley. On the left side of St. Paul Street is the Hunter Brothers warehouse. The bottom map shows from Cliff Street through Earl Street, from First Ave to Second Ave (blocks 92-93, 110A, and 111-112). Points of interest on this map include: Rossland Mill & Timber Co., Nickel Plate Mine buildings, the N.P. Sash & Door Factory, a planning mill, and the Columbia & Red Mountain Railway main line. There is a large "2" on the top right corner of the page. - 2020.000.278c: Shows the blocks between Earl and Washington Street from First to Third Avenue (blocks, 94-95, 00-100, 113-116). Some points of interest include the presbyterian church, Columbia Brewery, livery, Ottawa Hotel, Western Hotel, and the Columbia & Red Mountain Railway station. The bush/trees are also noted on the map. There is a large "3" on the top right corner. - 2020.000.278d: Shows the blocks between Washington and Monte Christo from First to Fourth Avenues (blocks 117-122, 134-136). Points of interest include Lincoln Terrace, a lodging house, a cigar factory, a school, Hotel Florence, Bellevue Hotel, and Bigelow House. There is a large "4" on the top right corner. - 2020.000.278e: Shows blocks between Monte Christo to Georgia Streets from First to Fourth Avenues, as well as part of the blocks between St. Paul and Monte Christo Streets (blocks 1221-126, 137-138). Points of interest include: the British Columbia Milling Co., Logan’s Planing Mill, and Laurel Hill Cemetery. The placement of the Columbia & Western Railway line is also shown. There is a large "5" on the top right corner. - 2020.000.278f: Shows the blocks between Cliff Street and Earl Street from Kootenay Ave to First Ave (blocks 7-12, part of 106-107). Points of interest include: Le Roi Brewing and Bottling, St Charles Hotel, the livery, hay and grain storage, and the Roman Catholic Church. There is a large "6" on the top right corner. - 2020.000.278g: Shows the blocks between Earl Street and Washington Street from Kootenay Ave to First Ave (blocks 25—30). Points of interest include: episcopal church, Hotel Allan, Dominion Hotel, Miners Exchange Music Hall, Central Hotel, Hotel Windsor, Clarendon Hotel, LeLand House Hotel, War Eagle Hotel, Bruce Hotel, undertaker, customs office, St. Lawrence Hotel, Grand Hotel, Pacific Hotel, Bank of Montreal, Hotel Kootenay, International Hotel, bakery, Bellevue Hotel, Highland Hotel, shooting gallery, S. European Hotel, Chinese Laundry, Metropolitan Hotel, Columbia Hotel, and the Salvation Army. Sourdough Alley, the Lemon Block and the place men of a hose reel and fire bell are also noted. There is a large "7" on the top right corner. - 2020.000.278h: Shows the blocks between Washington Street and Monte Christo Street from Kootenay Ave to First Ave (blocks 39—51). Points of interest include: C&W Railway station and main line, opera house, Grand Union Hotel, sisters hospital (mater mis?), Dr. Bowe’s Hospital, bowling alley, Bank of British North America, Vancouver House Hotel, and WHO Liquors. Hogan’s Alley, the Creedmore Block, and McGregor Terrace are also noted. Many of the buildings on Columbia Avenue note that there are rooms over the stores. There is a large "8" on the top right corner. - 2020.000.278i: Shows the blocks between Monte Christo Street and Georgia Street from Kootenay Ave to First Ave with part of the block between St Paul and Monte Christo (blocks 127-129,131-132, 139). Points of interest include: masonic hall, court house, lock up, Baptist church, and sisters hospital (mater mis?). There is a large "9" on the top right corner. Needs scanned. |
Date |
1897/07/ |
Size |
45.5 x 61 |
No. of sheets |
9 |
Medium |
Paper |
Search Terms |
Columbia Brewery Butte Hotel Western Hotel Ottawa Hotel Lincoln Terrace Central Hotel British Columbia Milling Co. Logan's Planning Mill St. Charles Hotel Le Roi Brewing Co. Allan Hotel Hogan's Alley Grand Hotel Hotel Windsor Columbia & Western Railway John Murphy Brewery Sourdough Alley McGreggor Terrace |
Subjects |
Mining Mining Claim Mineral Claim Railway Street Townsite Road Street Fire Insurance Map Businesses |
